《尉氏县人民路新村北路西北街坊控制性详细规划》、《尉氏县文化路粮店街西北街坊控制性详细规划》、《尉氏县先进制造业开发区清源路福民路东北街坊控制性详细规划》、《尉氏县先进制造业开发区兴业路福康路东北街坊控制性详细规划》、《北三环开港大道西北街坊控制性详细规划》、《光明路樵松路西北街坊控制性详细规划》、《尉氏县永祥路复兴路东南、西南片区控制性详细规划》、《北三环滨河东路东北街坊控制性详细规划》、《尉氏县先进制造业开发区福民路北侧街坊控制性详细规划》、《孝绪路纱厂西路西南街坊控制性详细规划》、《北三环金水路东北街坊控制性详细规划》、《开许路东侧街坊控制性详细规划》、《尉氏县检验检测中心建设项目控制性详细规划(修编)》、《尉氏县北二环金沙路东南街坊控制性详细规划》、《尉氏县滨河西路北二环西北街坊控制性详细规划》、《尉氏县芦医庙村LYM-01、LYM-02地块控制性详细规划》、《尉氏县人民路景行大道东北街坊控制性详细规划》、《尉氏县福星大道纱厂西路东北街坊控制性详细规划》、《尉氏县防洪排涝及生态环境综合整治提升项目(北康沟河)控制性详细规划》、《尉氏县防洪排涝及生态环境综合整治提升项目(康沟河)控制性详细规划》、《尉氏县防洪排涝及生态环境综合整治提升项目(窦张河)控制性详细规划》、《尉氏县防洪排涝及生态环境综合整治提升项目(明改河)控制性详细规划》、《尉氏县防洪排涝及生态环境综合整治提升项目(护城河)控制性详细规划》、《尉氏县中心城区明河变电站街坊控制性详细规划(A-03地块修编)》、《尉氏县尉蔡路福聚路东南街坊控制性详细规划》、《尉氏县尉州大道阮籍路西北街坊控制性详细规划》现已由尉氏县规划技术服务中心组织编制完成。为了提高城市规划管理工作的民主和法治化水平,保障公众在规划编制、实施过程中的知情权、参与权和监督权,广泛听取公众对城市规划编制工作的意见和建议,根据《中华人民共和国城乡规划法》的有关规定,现将对已编制完成的控制性详细规划成果进行公示,欢迎广大群众提出意见和建议。
尉氏县人民路新村北路西北街坊位于尉氏县城人民路新村北路交叉口西北,规划范围内用地性质为社会停车场用地、公园绿地、城镇道路用地。详见附图“尉氏县人民路新村北路西北街坊控制性详细规划(图则)”。

尉氏县文化路粮店街西北街坊位于尉氏县城文化路粮店街交叉口西北,规划范围内用地性质为二类城镇住宅用地。详见附图“尉氏县文化路粮店街西北街坊控制性详细规划(图则)”。

尉氏县先进制造业开发区清源路福民路东北街坊位于尉氏县先进制造业开发区清源路福民路交叉口东北,规划范围内用地性质为二类工业用地、城镇道路用地。详见附图“尉氏县先进制造业开发区清源路福民路东北街坊控制性详细规划(图则)”。

尉氏县先进制造业开发区兴业路福康路东北街坊位于尉氏县先进制造业开发区兴业路福康路交叉口东北,规划范围内用地性质为二类工业用地、公园绿地、城镇道路用地。详见附图“尉氏县先进制造业开发区兴业路福康路东北街坊控制性详细规划(图则)”。

北三环开港大道西北街坊位于尉氏县城北三环与开港大道交叉口西北,规划范围内用地性质为公共设施营业网点用地。详见附图“北三环开港大道西北街坊控制性详细规划(图则)”。

光明路樵松路西北街坊位于尉氏县城光明路与樵松路交叉口西北,规划范围内用地性质为排水用地、城镇道路用地。详见附图“光明路樵松路西北街坊控制性详细规划(图则)”。

尉氏县永祥路复兴路东南、西南片区位于尉氏县城永祥路南复兴路两侧,规划范围内用地性质为二类工业用地、城镇道路用地。详见附图“尉氏县永祥路复兴路东南、西南片区控制性详细规划(图则)”。

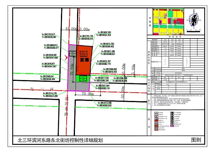
北三环滨河东路东北街坊位于尉氏县城北三环与滨河东路交叉口东北,规划范围内用地性质为公共设施营业网点用地、公园绿地、城镇道路用地。详见附图“北三环滨河东路东北街坊控制性详细规划(图则)”。

尉氏县先进制造业开发区福民路北侧街坊位于尉氏县先进制造业开发区福民路北侧,规划范围内用地性质为特殊用地、城镇道路用地。详见附图“尉氏县先进制造业开发区福民路北侧街坊控制性详细规划(图则)”。

孝绪路纱厂西路西南街坊位于尉氏县城孝绪路与纱厂西路交叉口西南,规划范围内用地性质为二类城镇住宅用地(兼容商业服务业设施用地)、城镇道路用地。详见附图“孝绪路纱厂西路西南街坊控制性详细规划(图则)”。

北三环金水路东北街坊位于尉氏县城北三环与文卓路交叉口东北,规划范围内用地性质为二类城镇住宅用地(兼容商业服务业设施用地)、公园绿地、城镇道路用地。详见附图“北三环金水路东北街坊控制性详细规划(图则)”。

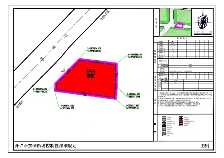
开许路东侧街坊位于尉氏县城开许路东侧,规划范围内用地性质公共设施营业网点用地。详见附图“开许路东侧街坊控制性详细规划(图则)”。

尉氏县检验检测中心建设项目位于尉氏县政一路北侧,原规划该地块用地性质为行政办公用地,现拟规划该地块用地性质为为公共管理与公共服务用地,其他指标不变。详见附图“尉氏县检验检测中心建设项目控制性详细规划(修编)(图则)”。

尉氏县北二环金沙路东南街坊位于尉氏县北二环与金沙路交叉口东南,规划范围内用地性质为商业用地、城镇道路用地。详见附图“尉氏县北二环金沙路东南街坊控制性详细规划(图则)”。

尉氏县北二环滨河西路西北街坊位于尉氏县北二环与滨河西路西北,规划范围内用地性质为二类城镇住宅用地、公园绿地、河流水面用地、城镇道路用地。详见附图“北二环滨河西路街区图则(编号图)”“北二环滨河西路街区图则(图则01居住)”。

尉氏县芦医庙村LYM-01、LYM-02地块位于尉氏县先进制造业开发区卢医庙村、新尉大道北侧,规划范围内用地性质为二类工业用地、防护绿地。详见附图“尉氏县芦医庙村LYM-01、LYM-02地块控制性详细规划(图则)”。

尉氏县人民路景行大道东北街坊位于尉氏县城西部,人民路与规划景行大道东北,规划范围内用地性质为城镇道路用地、公园绿地、一类物流仓储用地。详见附图“尉氏县人民路景行大道东北街坊控制性详细规划(图则)”。

尉氏县福星大道纱厂西路东北街坊位于尉氏县城东南,福星大道与纱厂西路交叉口东北,规划范围内用地性质为二类城镇住宅用地、幼儿园用地、公园绿地、城镇道路用地。详见附图“尉氏县福星大道纱厂西路东北街坊控制性详细规划”。

尉氏县防洪排涝及生态环境综合整治提升项目(北康沟河)位于尉氏县中心城区北部,西至西三分干渠、东至贾鲁河,规划范围内用地性质为河流水面用地。详见附图“尉氏县防洪排涝及生态环境综合整治提升项目(北康沟河)控制性详细规划(图则)”。

尉氏县防洪排涝及生态环境综合整治提升项目(康沟河)位于尉氏县城西部,北至邢庄乡付李庄村、南至大桥乡冯村,规划范围内用地性质为河流水面用地。详见附图“尉氏县防洪排涝及生态环境综合整治提升项目(康沟河)控制性详细规划(图则)”。

尉氏县防洪排涝及生态环境综合整治提升项目(窦张沟)位于尉氏县城,北至尉州大道与建设路交叉口、南至南曹乡北曹村、国有林场,规划范围内用地性质为河流水面用地。详见附图“尉氏县防洪排涝及生态环境综合整治提升项目(窦张沟)控制性详细规划(图则)”。

尉氏县防洪排涝及生态环境综合整治提升项目(明改河)位于尉氏县北部,北至西三干渠、南至北康沟河。规划范围内用地性质为河流水面用地。详见附图“尉氏县防洪排涝及生态环境综合整治提升项目(明改河)控制性详细规划(图则)”。

尉氏县防洪排涝及生态环境综合整治提升项目(护城河)位于尉氏县中心城区内,东临两湖街道办小东门社区、西邻两湖街道办小西门社区和大西门社区、南临两湖街道办南街社区、北临两湖街道办小西门社区,规划范围内用地性质为河流水面用地。详见附图“尉氏县防洪排涝及生态环境综合整治提升项目(护城河)控制性详细规划(图则)”。

尉氏县中心城区明河变电站街坊A-03地块位于尉氏县北二环北、明河变电站东,原用地性质为其他公用设施用地,现拟修编该地块用地性质为排水用地,其他指标不变,详见附图“尉氏县中心城区明河变电站街坊控制性详细规划(A-03地块修编) 图则”。

尉氏县尉蔡路福聚路东南街坊位于尉氏县城南部,尉蔡路东、福聚路南,规划范围内用地性质为二类工业用地、城镇道路用地。详见附图“尉氏县尉蔡路福聚路东南街坊控制性详细规划(图则)”。

尉氏县尉州大道阮籍路西北街坊位于尉氏县城北部,尉州大道北、阮籍路西、政三路南,规划范围内用地性质为中小学用地、公园绿地、城镇道路用地。详见附图“尉氏县尉州大道阮籍路西北街坊控制性详细规划 图则”。

此次公示时间为2023年10月09日至2023年10月15日。欲查询详细内容,请于公示期内携带有效身份证明,到尉氏县规划技术服务中心登记后查询。联系电话:0371-23296555。
公安备案号:41022302001015

